Furacão Humberto Atinge Intensidade Máxima no Atlântico
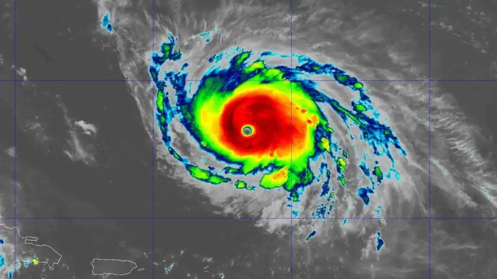
O furacão Humberto atingiu a categoria 5 na escala Saffir-Simpson, um marco significativo devido aos seus ventos de até 260 km/h. Este evento coloca o Humberto entre os 44 furacões de maior intensidade já registrados no Oceano Atlântico, evidenciando a força destrutiva desses sistemas meteorológicos.
CONTINUA DEPOIS DA PUBLICIDADE
A chegada do Humberto à categoria 5 reforça a preocupação com a tendência de intensificação acelerada de tempestades, impulsionada pelo aumento da temperatura dos oceanos. Cientistas atribuem essa situação ao aquecimento global e ao uso contínuo de combustíveis fósseis, fatores que contribuem para o aumento da energia disponível para a formação de furacões.
De acordo com o Centro Nacional de Furacões dos EUA, o Humberto deverá manter sua força de categoria 5 até domingo, com uma gradual perda de intensidade nos dias seguintes. Apesar disso, o furacão ainda representará um perigo significativo, com potencial para atingir a categoria 4 ou 3 ao sul das Bermudas.
CONTINUA DEPOIS DA PUBLICIDADE
Nova Ameaça: Furacão Imelda em Formação
Enquanto o Humberto se move pelo Atlântico, outra tempestade tropical surge na região do Caribe. A depressão tropical Nove, que se formou entre Cuba e as Bahamas, apresenta ventos de 56 km/h e tem potencial para se intensificar.
As projeções indicam que a depressão tropical Nove poderá evoluir para a tempestade tropical Imelda ainda neste fim de semana. A previsão é que a Imelda atinja a força de furacão categoria 1 entre segunda e terça-feira, com impacto potencial na costa leste da Flórida.
LEIA TAMBÉM!
Alertas e Previsões
Alertas já foram emitidos para as Bahamas, e a previsão é que se estendam à costa leste da Flórida. O sistema tende a se mover para o leste, evitando o contato direto com o continente, mas mantendo-se como uma ameaça significativa.
